
Modern cargo ships are huge, slow machines that ply the world’s oceans, delivering fuel, raw materials, and products to power the economy.
Sailing the seas is dangerous. Thanks to safer ships and weather forecasting, it’s not as dangerous as it used to be, but rough seas can sink a modern ship, as we saw when the freighter El Faro sank during an Atlantic storm in October 2015, killing all 33 seafarers aboard.
This September, Irma has been beating its way across the Atlantic Ocean toward the edge of the Caribbean Sea. And cargo ships have been powering away from a broad swath of ocean to avoid the storm. In this case, many ships are seeking shelter on the west side of the islands that mark the eastern boundary of the Caribbean. Their specific routes are chosen by captains with the aid of company headquarters, usually relying on specialized forecasters who work with shippers.
MarineTraffic is a service that tracks the movement of ships using Automatic Identification System (AIS) beacons on board. They sent me images of ship positions from early on September 4th through September 5th. I was able to roughly match those frames with wind-track data provided by the National Hurricane Center, so you can see what it is that the ships are avoiding.
In the animation below, the maroon represents the route that hurricane-speed winds took. The yellow is the envelope of tropical-storm-level winds.
The ship colors represent different types of vessels: Tankers are red, cargo ships green. Pleasure craft are pink.
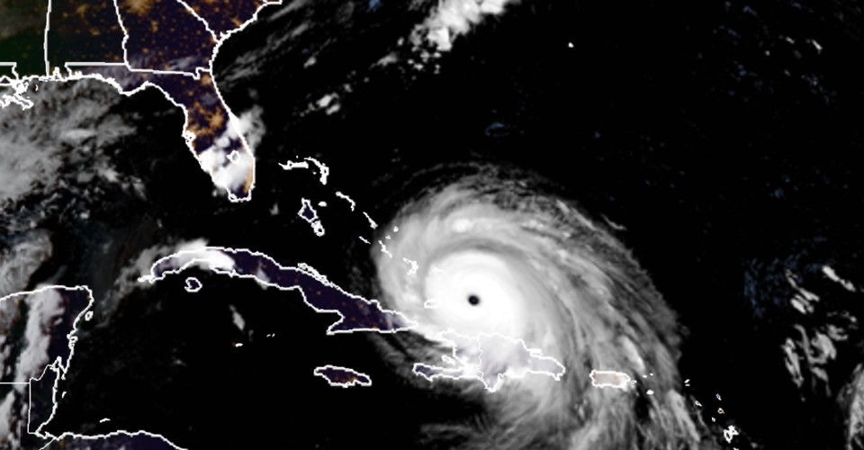
Already, ships are returning to routes that are behind the storm and clearing out of the areas that remain in the path. This map shows MarineTraffic data overlaid with a roughly contemporaneous image of Irma from the GOES satellite on Thursday.
As you can see, many ships are still hiding from the storm behind the islands, waiting for it to pass by on its way to making landfall in Florida.
We want to hear what you think about this article. Submit a letter to the editor or write to letters@theatlantic.com.


